Taiwan Typhoon Map: Live Updates & Tracking

D.Consentmo 124 views
Taiwan Typhoon Map: Live Updates & Tracking

Taiwan Typhoon Map: Live Updates & Tracking

Hey guys, let’s talk about something super important for anyone living in or traveling to Taiwan: typhoon maps . We all know that Taiwan is in a region that gets hit by typhoons pretty regularly, especially during the summer and fall months. Having access to accurate and up-to-date typhoon map Taiwan information isn’t just about staying informed; it’s about staying safe. These storms can pack a serious punch, causing everything from heavy rain and strong winds to dangerous flooding and landslides. So, understanding where a typhoon is, where it’s heading, and its potential intensity is absolutely crucial for making informed decisions, whether that’s preparing your home, deciding whether to travel, or knowing when to seek shelter. A good typhoon map Taiwan will show you the storm’s current position, its projected track over the next few hours and days, and often includes information on wind speeds, rainfall predictions, and areas likely to be affected. It’s your go-to resource for real-time data, helping you and your loved ones stay one step ahead of Mother Nature’s fury. We’ll dive into why these maps are so vital, where you can find the best ones, and what information you should be looking for to ensure you’re as prepared as possible when a typhoon threatens the island. So, grab a cup of coffee, and let’s get you clued in on navigating Taiwan’s typhoon season with confidence.

Why You Absolutely Need a Taiwan Typhoon Map

Alright, let’s break down why having a reliable typhoon map Taiwan is non-negotiable, especially if you’re living on the island or planning a visit. Taiwan’s geographical location smack-dab in the western Pacific makes it a frequent target for these massive tropical cyclones. They form over warm ocean waters and can rapidly intensify, bringing with them a destructive cocktail of gale-force winds , torrential rainfall , and storm surges . For locals, this means understanding the immediate risks to property and personal safety. It helps in decisions like boarding up windows, stocking up on essentials like water and non-perishable food, and securing outdoor items that could become projectiles. For tourists, it’s equally critical. Imagine booking that dream vacation to Taiwan, only to have your plans DERAILLED by a super typhoon. A typhoon map Taiwan can help you monitor the situation before and during your trip, allowing you to adjust flight plans, reschedule tours, or even postpone your travel altogether to avoid dangerous conditions. Ignorance is definitely not bliss when it comes to typhoons. Relying on outdated information or simply not checking the forecast can lead to being caught in hazardous situations. Think about travel disruptions – flights can be canceled, trains stopped, and roads blocked by debris or flooding. Knowing the typhoon’s path and intensity via a typhoon map Taiwan allows you to plan alternative routes or avoid travel during peak storm periods. Furthermore, understanding the potential impact zones highlighted on these maps is key. Some areas, like coastal regions or mountainous terrain, are particularly vulnerable to landslides and flooding. By consulting a typhoon map Taiwan , you can gain insight into which areas are most at risk and take appropriate precautions. It’s all about risk mitigation and making proactive choices rather than reactive ones when the storm is already upon you. This proactive approach, fueled by accurate data from a typhoon map Taiwan , can literally be the difference between a minor inconvenience and a serious emergency. It empowers you with knowledge, giving you the control to make the best possible decisions for your safety and well-being.

Key Features of a Reliable Typhoon Map

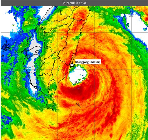
So, what makes a typhoon map Taiwan actually useful , guys? It’s not just about a pretty picture of a swirling cloud. A truly effective typhoon tracking map will pack a punch with several key features that provide actionable intelligence. First off, real-time location and movement . This is the absolute baseline. The map needs to show you precisely where the typhoon is right now and, crucially, the projected track . This track is usually shown as a dotted line, indicating the most likely path the storm will take over the next 12, 24, 48, and even 72 hours. You’ll want to see the cone of uncertainty too, which shows the potential range of the storm’s path – it’s not a guarantee, but it gives you a sense of the possible variability. Next up, intensity indicators . Typhoons aren’t static; they fluctuate in strength. Look for symbols or color-coding that indicate the current wind speeds (like Category 1, 2, 3, etc., based on the Saffir-Simpson scale, though different agencies might use slightly different terminology) and potential future intensification or weakening. Understanding the maximum sustained winds and wind field radius is vital because these determine the extent of damaging winds. Rainfall forecasts are another biggie. Typhoons dump insane amounts of rain, leading to flash floods and mudslides, especially in Taiwan’s mountainous regions. A good map will overlay rainfall predictions, showing areas expected to receive the heaviest downpours. Storm surge potential is also critical for coastal areas. Some advanced maps might indicate areas at risk of being inundated by unusually high tides caused by the storm’s winds pushing water ashore. Warning and watch areas are super important. These are official designations from meteorological agencies, alerting you to potential threats. A typhoon watch means conditions might occur, while a typhoon warning means they are expected or occurring . Knowing these zones on the typhoon map Taiwan helps you understand the immediacy of the threat. Satellite imagery and radar loops add another layer of detail, letting you see the storm’s structure and how it’s behaving in real-time. Finally, historical data and forecast confidence levels can be useful for understanding past storm behavior and the reliability of the current forecast. Basically, the more comprehensive the data, the better equipped you are to prepare. You want a typhoon map Taiwan that acts as your personal storm command center, giving you all the intel you need.

Where to Find the Best Taiwan Typhoon Maps

Okay, so you’re convinced you need a typhoon map Taiwan , but where do you actually find these lifesavers? Luckily, Taiwan has some excellent resources, both official and unofficial, that provide top-notch typhoon tracking information. The absolute gold standard for official information is the Central Weather Administration (CWA) of Taiwan. Their website is usually the first place locals and authorities turn to. They issue official warnings, advisories, and provide detailed maps showing the typhoon’s current position, forecast track, and relevant meteorological data. You’ll want to bookmark their site and get familiar with it before typhoon season kicks into high gear. Keep an eye out for their typhoon advisories and typhoon warnings , which are crucial for understanding the level of threat. Beyond the CWA, several international meteorological organizations offer fantastic global and regional typhoon tracking capabilities that include Taiwan. The Japan Meteorological Agency (JMA) is another highly respected source for tropical cyclone information in the Western Pacific. Their forecast tracks and intensity predictions are often very accurate. For a more visual and user-friendly experience, websites like Windy.com and Ventusky.com are absolute game-changers. These platforms aggregate data from various meteorological models and present it in stunning, interactive maps. You can see wind speeds, rainfall, wave heights, and projected storm paths with incredible detail. They often have features allowing you to scroll through time to see the forecast evolve. While not official Taiwanese warnings, they are invaluable for getting a broader understanding of the storm’s dynamics and potential impact. The U.S. Navy’s Naval Meteorology and Oceanography Command also provides valuable real-time data and forecasts for the region. For general news and updates, reputable news outlets in Taiwan, like the Taiwan News or Taipei Times , often have dedicated sections during typhoon season, aggregating information from the CWA and other sources, sometimes with embedded typhoon map Taiwan widgets. Remember, it’s always best to cross-reference information from multiple sources if possible, but always prioritize the official warnings issued by the CWA for critical decision-making. Getting familiar with these resources now will make you feel much more prepared when a typhoon is on the horizon. So, get clicking and bookmark your favorites, guys!

Understanding Typhoon Symbols and Data

Navigating a typhoon map Taiwan can sometimes feel like learning a new language, with all the symbols, acronyms, and data points. But don’t sweat it, guys! Once you understand the basics, it becomes super intuitive. Let’s break down some of the most common elements you’ll encounter. First, the typhoon symbol itself. You’ll usually see a circle representing the storm’s center. Inside or alongside it, you might find numbers indicating the maximum sustained wind speed , often in knots (nautical miles per hour) or kilometers per hour. These numbers are directly related to the typhoon’s category. For example, a Category 1 typhoon has sustained winds of 74-95 mph (119-153 km/h). The map will also show the projected track , typically a dashed line extending from the current position, indicating the storm’s expected path. This line often has little arrows or dots marking positions at 6, 12, 24, 48, and 72-hour intervals. Very important is the cone of uncertainty , which is a shaded area around the projected track. This cone represents the potential deviation from the forecast path – the storm could track anywhere within this cone. It’s a visual reminder that forecasts aren’t perfect and there’s always some degree of unpredictability. Color-coding is another common feature. Different colors might represent different wind speeds, rainfall amounts, or warning levels. For instance, reds and oranges might indicate the most intense areas, while blues and greens show lighter conditions. Pay attention to the map’s legend or key ; it’s your decoder ring for understanding what all these colors and symbols mean. You’ll also see various weather icons for rain, thunderstorms, and even lightning, giving you a more complete picture of the potential hazards. Warning and Watch Areas are usually demarcated with specific lines or shaded regions, often accompanied by text indicating the type of alert (e.g., Typhoon Warning, Tropical Storm Watch). The CWA will clearly define these zones. Don’t forget about wind radii , which might be shown as concentric circles or shaded areas indicating the extent of strong winds (e.g., 34-knot, 50-knot, 64-knot winds). These are crucial for understanding how far the damaging winds might extend from the storm’s center. Finally, always check the timestamp on the typhoon map Taiwan . Data gets outdated quickly, so ensure you’re looking at the most recent information available. Understanding these elements empowers you to interpret the map accurately and make informed safety decisions.

Preparing Your Home and Family

Now that we know how to read a typhoon map Taiwan , let’s talk about the crucial next step: preparation . This is where the rubber meets the road, guys, and taking action before a typhoon makes landfall can make all the difference. Securing your home is priority number one. Start by inspecting windows and doors. If you have storm shutters, make sure they’re in working order. If not, you might need to board up windows with plywood. This prevents dangerous glass shards from flying if the windows break from strong winds. Check your roof too; loose shingles can be blown away and cause damage. Ensure any gutters or downspouts are clear of debris so water can drain properly. Bring in or secure outdoor items . Anything that isn’t tied down – patio furniture, potted plants, bicycles, garbage cans – can become dangerous projectiles in high winds. Store them inside your home, garage, or shed, or tie them down securely. For those living in flood-prone areas, elevating valuables and having sandbags ready can be a lifesaver. Prepare an emergency kit . This is your lifeline if the power goes out or you need to evacuate. Include essentials like: water (at least one gallon per person per day for several days), non-perishable food (canned goods, energy bars) and a manual can opener, a first-aid kit , flashlights with extra batteries, a battery-powered or hand-crank radio (to stay updated on CWA advisories), medications , sanitation and personal hygiene items , a multi-tool , cell phone chargers and portable power banks, and copies of important documents (identification, insurance policies). Develop a family communication plan . In an emergency, cell service might be spotty or overloaded. Designate an out-of-state contact person whom all family members can check in with. It’s often easier to make a long-distance call than a local one during a crisis. Know your evacuation routes . If you live in an area under an evacuation order, have a plan for where you’ll go and how you’ll get there. Don’t wait until the last minute. Check the CWA for official evacuation orders and recommended routes. Stay informed . Continuously monitor the typhoon map Taiwan and official advisories from the CWA. Don’t rely on rumors or social media alone. Having a plan and taking these steps well in advance will significantly increase your safety and peace of mind when a typhoon approaches. It’s all about being prepared, not panicked.

During and After the Typhoon

Okay, the typhoon map Taiwan has shown the storm is on your doorstep, or maybe it’s already hitting. What now? It’s time to shift gears from preparation to staying safe and then dealing with the aftermath. During the typhoon , your primary goal is to stay indoors and away from windows. If you live in a mobile home or an area prone to flooding, evacuate immediately if you haven’t already. Once you’re hunkered down, continue to monitor official updates from the CWA using your radio or charged phone. Avoid unnecessary travel; roads can be dangerous due to flooding, debris, and downed power lines. Never drive or walk through floodwaters . It only takes a few inches of moving water to sweep away a vehicle or knock you off your feet. Remember,